Listing provided courtesy of Kristen Maley of Landcore Realty. Last updated 2026-04-28 08:21:13.000000. Listing information © 2026 Sandicor.
Asking Price: $59,500 |
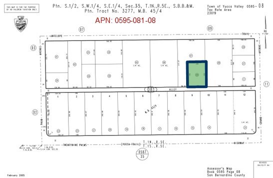
56646 Antelope, Yucca Valley CA 92284
Community: DC542 - Downtown North
This property was built in 0 and is priced at $59,500. Please see the additional details below.
PRICE REDUCTION on 0.33 Acres (APN: 0595-081-08) GPS: 34.121611, -116.42818 This lot is located in Yucca Valley, CA. The city of Yucca Valley has zoned the property as General Commercial (C-G). This property did once have a structure, but no longer. Some residential, daycare, garden supply, feed store, retail, office, or coffee shop may be permitted with a CUP. Buyers should reach out to the Town of Yucca Valley planning department for information on permitting requirements and commercial uses. Hi-Desert Water District provides water for the neighborhood, according to the district a WATER METER is present to service the property. Overhead electricity is across the street. While the boundary lines on the map offer a glimpse, they are only approximate. A Buyer should verify boundaries, zoning and utilities, ensuring every aspect aligns with their vision for the property. *Address says Antelope Trail but property is on Rabbit Trail.














