Listing provided courtesy of Orrin Joseph of Victor Valley Property Center. Last updated 2026-04-24 08:22:07.000000. Listing information © 2026 Sandicor.
Asking Price: $49,900 |
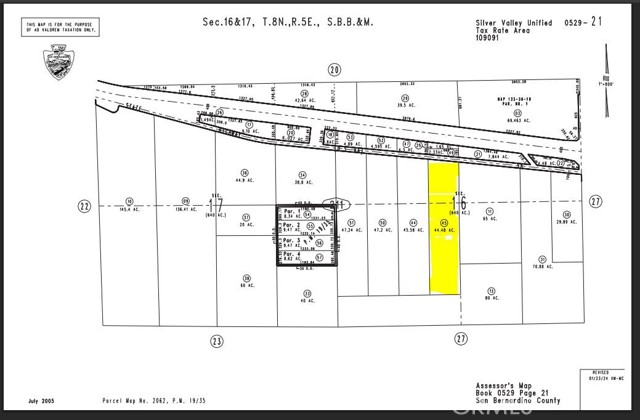
National Trails Parcel #0529-211-45, Newberry Springs CA 92365
Community: NBS - Newberry Springs
This property was built in 0 and is priced at $49,900. Please see the additional details below.
large parcel close to Interstate 40 and the Hector Rd. offramp. 666 feet frontage just south of Paved Hwy 66. A small strip of land is in between the north side of the lot and the Hwy 66 that appears to be part of the roadway easement.
GPS Coordinates: 34.787515,-116.462526



