Listing provided courtesy of David Norwood of David Norwood Central Coast Real Estate. Last updated 2025-12-25 09:20:54.000000. Listing information © 2025 Sandicor.
Asking Price: $12,500 |
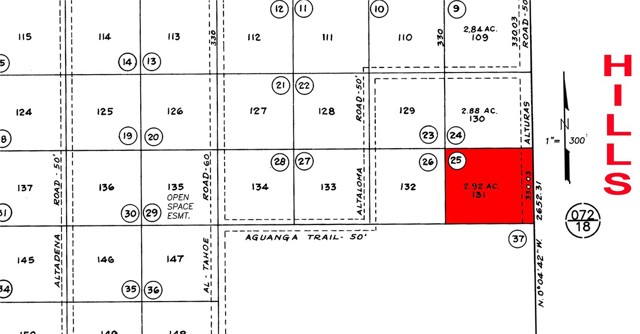
13344 Alturas (Alexandra), Santa Margarita CA 93453
Community: SMRG - Santa Margarita
This property was built in 0 and is priced at $12,500. Please see the additional details below.
Right NEXT to Hills on this EXTRA LARGE 2.92-acre lot. The Amazing 360° views will astonish you from this Fantastic Far East location. HOT Electric Next-Door South of lot. Near Hwy 58 for easy access and only 30 minutes to Grocery Story in McKittrick. VERY DARK SOIL AND GRASSES are an indication of great water. Walking distance to trials that allow you to Ride a Horse, Hike, take your off-road Motorcycles or Hunt in the nearby BLM Hills. Bring your cows, goats, and chickens. Great for a vacation getaway or build your dream home. Manufactured homes okay. **ADDRESS NUMBER IS ESTIMATED & NOT EXACT. Contact agent for precise maps and directions. 35.311228, -119.84553 APN: 084-031-025






