Listing provided courtesy of Mark Mestepey of Castlestone Properties, Inc.. Last updated 2026-05-02 08:29:55.000000. Listing information © 2026 Sandicor.
Asking Price: $24,900 |
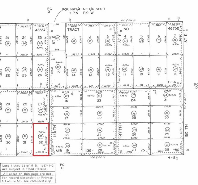
14500 E Avenue H8, Lancaster CA 93535
Community: LAC - Lancaster
This property was built in 0 and is priced at $24,900. Please see the additional details below.
Great 5-acre land parcel for a great price! This land sits at the northwest corner of E Ave H8 and 145th St E, just east of paved 140th St. With this street frontage, there is no need for easements if you want to access or use the land. The time spent driving on dirt roads to reach this land is minimal. There are also power lines at 140th St. This property's location makes it very easy to reach, as Avenue H stretches all the way from this property to the freeway. Short drive to the conveniences of Lancaster, while being away from the hustle and bustle. This may be a great location to camp, go off-roading, install a mobile home, build a house, or start a small farm. Great price for 5 acres with this sort of accessibility. Don't miss out!







