Listing provided courtesy of Amir Maloumi of First Team Real Estate. Last updated 2026-02-28 09:21:34.000000. Listing information © 2025 Sandicor.
Asking Price: $38,000 |
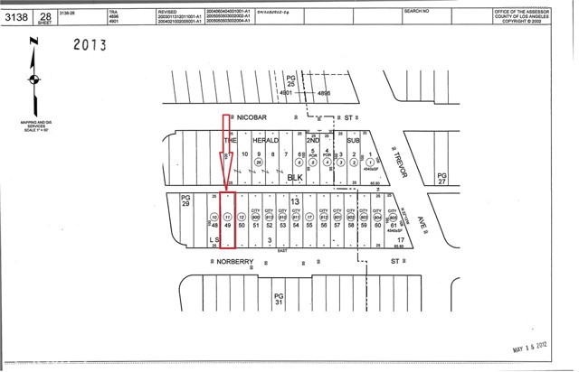
W. Norberry, Lancaster CA 93535
Community: LAC - Lancaster
This property was built in 0 and is priced at $38,000. Please see the additional details below.
Prime lot opportunity in the City of Lancaster! This 2,529 SF lot (approx. 101’ x 25’) is ideally located near the corner of W. Norberry St. and Yucca Ave. in a strategic transit-oriented area. Zone: TOD-EC (Transit Oriented Development , Employment Commercial), this parcel is positioned for buyers seeking a centrally located site in an evolving urban corridor.
The property is within 4 minutes distance to the Metrolink Station and just blocks from Lancaster Blvd, the heart of Downtown Lancaster with nearby shops, dining, services, and community activity. Paved street frontage on W. Norberry St. adds accessibility, and utilities are reported nearby/in street (electricity, water, public sewer).
Excellent opportunity for investors, developers, and owner-users looking to secure land in a high-visibility, growth-oriented location.
APN: 3138-028-011 ;
Lot Size: 2,529 SF ;
Dimensions: Approx. 101’ x 25’ ;
Zoning: TOD-EC ;
Topography: Flat ;
Street Access: Paved / W. Norberry St. ;
Electric: In street (W. Norberry St.) ;
Water: In street ;
Sewer: Public ;
GPS: 34.694043, -118.133829 ;
Cross Streets: Near W. Norberry St. & Yucca Ave. ;
Area Highlights: Near Metrolink Station, blocks from Downtown Lancaster Blvd. ;
Buyer to verify zoning, permitted uses, development standards, and utility availability/capacity with the City of Lancaster and utility providers. Please contact Listing Agent for more information.




















